Hurricane Dorian hovered at a near-standstill late Monday as it battered the northern Bahamas with ferocious winds and heavy surf, leaving at least five dead in the archipelago as officials warned the death toll could rise.
The deaths occurred in the Abaco Islands, which has felt the brunt of the punishing conditions that have continued to shred homes and flood low-lying islands, Bahamian Prime Minister Hubert Minnis said at a news conference.
Minnis said that parts of the northern Bahamas were in the midst of a “historic tragedy” and that the focus of authorities was on search, rescue and recovery.
He said that at least 21 people have been injured and taken to hospitals and that the images and videos seen by officials are heartbreaking, with many homes and businesses and other buildings completely or partially destroyed.
Download the NBC News app for updates on Hurricane Dorian
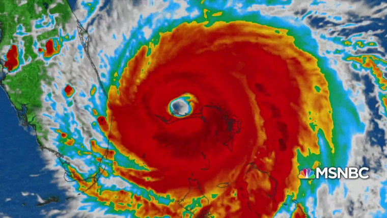
Dorian on Monday was called the strongest hurricane in modern records for the northwestern Bahamas. By early Tuesday its maximum sustained winds dropped to 125 mph as it “won’t budge” and continued to affect Grand Bahama Island, the hurricane center said, which would make it a Category 3 hurricane on the Saffir-Simpson Hurricane Wind Scale.
Late Monday, the hurricane center said that some weakening was expected over the next several days, but forecasters warned, “the bottom line is that Dorian is expected to remain a powerful hurricane as it tracks very near the east coast of the U.S. from Florida to North Carolina during the next few days.”
The National Weather Service in Miami tweeted that it had reports of coastal flooding early Tuesday.
The Latest on Dorian:
- The storm had maximum sustained winds of 125 mph and was 25 miles northeast of Freeport, Grand Bahama Island, in a "stationary" position, the hurricane center reported at 11 p.m. Isolated rainfall was expected at 30 inches in some parts of the northwestern Bahamas.
- At least five people have died in the Abaco Islands, Bahamian officials say. A woman told Eyewitness News Bahamas that her 8-year-old grandson was killed in a possible drowning.
- Officials say Dorian is set to come "dangerously close" to Florida's east coast late Tuesday through Wednesday evening.
- Both the Fort Lauderdale and Palm Beach international airports in Florida shut down their operations Monday, and Orlando's airport planned to cease all flights at 2 a.m. ET Tuesday. Amtrak also canceled some of its East Coast service.
- More than 70 nursing homes and assisted living facilities have evacuated along Florida's east coast. Many of the state's toll roads are suspended, and several ports have closed. In addition, more than 85 shelters are open statewide.
- Six counties east of Interstate 95 in Georgia were ordered to evacuate, Gov. Brian Kemp says.
Bahamian officials said they had received a "tremendous" number of calls for rescue, but weather conditions remained unsafe to respond in many cases.
Grand Bahama Island was still facing "devastating" wind and storm surges late Monday, and the hurricane center said everyone there should remain in shelter. Wind gusts of 160 mph and storm surges of 12 to 18 feet above normal tide levels with higher destructive waves were expected to remain threats there through Tuesday.
Millions of people along the southeastern coast of the United States are bracing for Dorian's effects over the next few days as meteorologists warn the storm, which was stationary late Monday will eventually veer north off the coast of Florida. The forecast track continues to show the core of the hurricane offshore, "but dangerously close to the east coast of the U.S. from Florida to North Carolina" during the next three days, the hurricane center said.

President Donald Trump has approved emergency declarations for Florida, South Carolina and Georgia. Virginia Gov. The governors of North Carolina and Virginia have also declared states of emergency.
Florida Gov. Ron DeSantis said Monday morning that he was continuing to monitor the storm as it stalled more than 100 miles east of West Palm Beach and that residents from Palm Beach County north toward Jacksonville along the state's east coast were on warning to evacuate.
Dorian made landfall on Great Abaco Island, a neighboring island to Grand Bahama, Sunday afternoon as a Category 5 storm. The hurricane center said its maximum sustained winds were 185 mph — an Atlantic hurricane record matched only by the Labor Day 1935 storm that struck the Florida Keys.
Although sustained wind speeds decreased Monday after topping out at 165 mph, the storm's eye was parked over the Grand Bahama Island and the hurricane center said the situation remained "life-threatening."
Police Chief Samuel Butler urged people to remain calm and share their GPS coordinates, but he said rescue crews had to wait until weather conditions improved, the Associated Press reported.
“We simply cannot get to you,” he told Bahamas radio station ZNS.
Information began emerging from the affected islands, with Bahamas Power and Light saying there is a total blackout in New Providence, the archipelago's most populous island, according to the AP.
"The reports out of Abaco (island) as everyone knows," company spokesman Quincy Parker told ZNS Bahamas radio station, "were not good."
Most people went to shelters as the storm approached, with hotels shutting down and residents boarding up their homes.
Videos and photos shot by residents of Great Abaco Island and obtained by NBC News showed relentless gusts of wind toppling trees, flipped cars, damaged phone towers and homes almost completely submerged in water.
A video shot in Abaco showed dozens of people waiting out the storm, huddled together in the only apartment left relatively intact, with a roof that’s caving and walls leaking.
"This is the only house left standing in the neighborhood and everyone is here," a woman in the video said as the storm raged outside. "This is the only safe place we can be right now."
Another video posted by an unnamed Bahamian showed a family sheltering in a bathroom as a woman prayed for their safety. And in a separate video, an observer called a scene of snapped trees, twisted metal and crumpled cars "complete devastation."
Full coverage: Latest stories and video on Hurricane Dorian

"Dorian is still battering Grand Bahama Island and will continue for many more hours. We know that there are a number of people in serious distress," Minnis, the Bahamas prime minister, tweeted Monday night. "We pray for their safety and will provide relief and assistance as soon as possible.
President Donald Trump voiced his support for the Bahamians tweeting Sunday: "Pray for the people in the Bahamas. Being hit like never before, Category 5."
The hurricane center said late Monday that the storm is expected to turn north late Tuesday, and a northeastern motion is forecast to begin by Wednesday night. The storm is expected to continue to hammer Grand Bahama Island into Tuesday morning, and then it is forecast to move dangerously close to the Florida east coast late Tuesday through Wednesday evening, and very near the South Carolina and Georgia coasts Wednesday night and Thursday.
Life-threatening storm surges and dangerous hurricane-force winds were expected along portions of the Florida east coast through mid-week, and storm surge and hurricane warnings were in effect.
Storm surge warnings were extended Monday night to include the Savannah River on the Georgia coast, and storm surge and hurricane watches were extended to the South Santee River in South Carolina, the hurricane center said.

Southport, North Carolina, Mayor J.V. Dove said that forecasts show the storm traveling up the coast and not making landfall.
“Still, we are expecting and do expect heavy rainfall, perhaps 10 inches or more, plus tropical storm-force winds, and we’re preparing for that,” Dove said on MSNBC early Tuesday. A state of emergency would be in effect at 7 a.m.
“One thing I’ve learned about hurricanes is that a lot of people are very afraid of the winds, but most of our trouble comes from the flooding, the heavy rains that are caused by the hurricanes themselves,” the mayor said.
On Sunday, the governors of South Carolina and Georgia ordered at least 1 million people to evacuate their coasts beginning Monday.
Authorities in Florida ordered mandatory evacuations in some vulnerable coastal areas. North Carolina Gov. Roy Cooper warned residents Sunday to make sure they are ready for possible impacts expected by the middle of the week.


