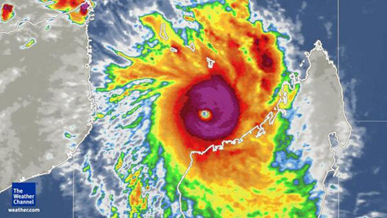
A powerful tropical cyclone threatened a potentially life-threatening storm surge on Madagascar after undergoing a period of very rapid intensification over the weekend, The Weather Channel reported.
Tropical Cyclone Hellen was expected to hit two regions on the northwestern coast of Madagascar on Monday which feature a combined population of about 700,000.
On Sunday afternoon, forecasters warned the storm surge could exceed 7 meters (23 feet) in the Bay of Baly, affecting the town of Soalala -- which is home to 15,000 people.
The regional capital of Mahajanga, which has a population of around 130,000, could see a storm surge of 2 to 4 meters (6 to 13 feet).
